|
И снова пикетаж
|
|
| gaspar | Дата: Воскресенье, 21.09.2025, 10:26 | Сообщение # 1 |
супер ГИП
Группа: Советник
Сообщений: 3674
Репутация: 293
Город: На Оке Замечания: 0%
Статус: Оффлайн
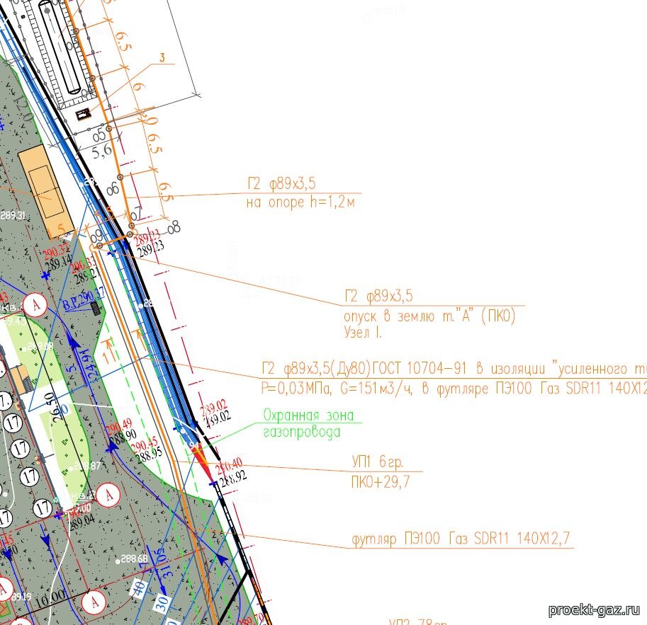
| Коллеги приветствую. Есть в форуме похожая тема, но она где-то глубоко скрыта в форуме, решил обновить в виде новой темы. Это тема не вопрос - а пожелание. На днях заказчик передал для монтажа проект газопровода по своему проектируемому кварталу домов, сделанный одной уважаемой московской конторой, называть не буду, чтобы не обидеть ребят. Когда стал его изучать - это какой-то треш под лозунгом "вырви глаз", проектная шиза. То что очень насыщенная топосъемка с наличием существующих и наложением проектируемых сетей сводного плана инженерных коммуникаций - это понятно, но чёрт подери...ПИКЕТАЖ газопровода и нумерация углов поворота, это нечто. С основной распределительной трассой понятно: врезка ПК0 и далее через 100 метров ПК1, ПК2, но ответвления... ПК0' .....ПК0'' ... ПК0''' ....УП1''' .... УП2'' ....ПК 4 ''' и т.п. Также встречаю проекты где вместо штрихов кто-то ставит звездочки, кто-то верхние индексы из чисел. Я на зрение не жалуюсь, но выискивать и считать эти мелкие штрихи среди элементов топоплана (отметок высот, деревьев, подписи) и особенно на черно-белом откопированном бумажном носителе - удовольствие ещё то. При формировании исполнительной документации (акты скрытых работ, протоколы испытаний газопровода и т.п) тоже нужно эти штрихи, звездочки или числовые верхние индексы указывать для построенных построенных участках. Потому эта тема не вопрос, а просьба. Убедительная просьба. Я сам проектировщик и потому прошу коллег - не занимайтесь извращением. Для примера: ну пронумеровали вы основную ветку газопровода ПК0, ПК1, ПК2 .... закончили ПК14+57,00 (заглушка), а на ответвления берите новый пикет. Например ответвление к газовому вводу №1: ПК15 ... ПК15+17,40 (газовый ввод), ответвление к газовому вводу №2: ПК16... ПК16+22,90 (газовый ввод) ..... ответвление к группе домов ПК25 .....ПК25+84,30 (заглушка на перспективу) и т.д. Аналогично углы поворота. Последний УП на основной трассе например УП23, ну присвойте на первом ответвлении углу поворота номер УП24 и т.д. Вам что, чисел не хватает? Зачем быть "звезданутыми" или " штриханутыми" ?
 Иными словами - каждое ответвление и УП лучше понятнее с нового числа. Звонит например подрядчик, говорит " У нас на ответвлении на ПК42 поставили сарай, что делать" или " у нас на ответвлении ПК2 с четырьмя, ан нет с тремя штрихами сарай поставили. Или всё же 4 штриха? Ан нет, это элемент топоплана". И всем нужно начинать в планах искать где это ответвление ПК2 с таким числом штрихов. Это же ужас У нас был в работе проект газификации посёлка где было под сотню ответвлений: последние ответвление было пронумеровано ПК129 и далее ПК129+7,50 (газовый ввод), а последний угол поворота был где-то УП84 Это же намного удобнее для составления не только проекта, но главное для составления исполнительной документации, внесение изменений при необходимости в проект, и самое главное - читабельность проекта приемлемая. Ведь у себя на мониторе мы можем увеличить узел и посчитать количество засечек, звездочек, а полевых условиях это невозможно. Нужно понимать, что проекты делаются не для себя, они должны быть читабельны как для монтажника, так и для заказчика, экспертизы, технадзора, членов госкомиссии и т.п. По возможности, коллеги, не используйте штрихонутость, звезданутость или мелкошрифтие в формировании пикетажа в планах и профилях .
Спасибо за понимание.
Сообщение отредактировал gaspar - Воскресенье, 21.09.2025, 10:47 |
| |
|
|
| gaspar | Дата: Вторник, 23.09.2025, 10:36 | Сообщение # 2 |
супер ГИП
Группа: Советник
Сообщений: 3674
Репутация: 293
Город: На Оке Замечания: 0%
Статус: Оффлайн
|  Сегодня скачал пару проектов с госзакупок для интереса, многие коллеги кроме штриханутости и звезданутости страдают верхними индексами в обозначении пикетажа. В чём сложность указать целое число в пикетаже - моя не понимай . Ведь посути тоже самое будет: верхний индекс превратить в обычную цифру . Место экономят?
|
| |
|
|
| projectgts | Дата: Вторник, 30.09.2025, 10:08 | Сообщение # 3 |
Начинающий проектировщик
Группа: Пользователи
Сообщений: 20
Репутация: 0
Город: Самара Замечания: 0%
Статус: Оффлайн
| Как приятно, что подрядчики и я обходятся в основном ПК0, максимум ПК1, так как трасса в 90% случаев до 100 метров
|
| |
|
|
| EBrEH1990 | Дата: Четверг, 02.10.2025, 17:27 | Сообщение # 4 |
Проектировщик
Группа: Пользователи
Сообщений: 49
Репутация: 3
Город: Сальск Замечания: 0%
Статус: Оффлайн
| Основную трассу нумерую ПК0, ПК1 ...., углы поворота на ней УП1, УП2 ..... На каждое новое ответвление - ставлю префикс, то есть ответвление 1 начинается с 1ПК0, отв. 2 с 2ПК0, на них соответственно углы поворота 1УП1, 1УП2, 2УП1 и т.д. Сколько не видел чертежей, все так делают. Сразу понятно о каком ответвлении идёт речь, по пикету конца сразу понятна длина ответвления, по последнему углу понятно их общее количество. Кроме того, если вдруг основная трасса увеличится так, что добавится новый пикет, то надо либо все ответвления перебивать, либо делать сноски, что у тебя между такими-то пикетами столько-то метров. Да и для того же цивила трасса - это всегда одна линия, каждая новая трасса - новая линия, уверен в КТ проектировании и трубопроводе ситуации похожие. С индексами, звёздочками и штрихами конечно мероприятие сомнительное - и просто на бумаге искать неудобно и поиском на компьютере как пользоваться непонятно.
|
| |
|
|
| Buba_B | Дата: Понедельник, 06.10.2025, 15:39 | Сообщение # 5 |
Начинающий проектировщик
Группа: Пользователи
Сообщений: 33
Репутация: 10
Город: Большой Замечания: 0%
Статус: Оффлайн
| Тут не в проектировщике проблема, он может и сделает адекватно, а ему скажут у нас так не принято. Почему? А никто не знает / всегда так делали / вдруг местный газпром/горгаз не примет и множество других причин, особенно если в конторе боятся чего то нового или просто не компетентные проверяют. Самое неадекватное это с индексами на подобии ПК0123, автокад по поиску ничего не находил. А из того что очень понравилось, это как выше EBrEH1990 указал - на основные ответвления делать 1ПК0, 1УП1, 2ПК0, 2УП1 + если есть ответвления к потребителям, то добавлять значение с точкой по типу ПК0.1, ПК0.2, 1ПК0.1, 1ПК0.2. При необходимости удлинения основной ветки можно будет продолжить старый пикетаж и быстро сориентироваться на каком пикете находится ответвление к потребителю, например если не было времени обозначить на профиле пикетаж основной ветки. Когда то делал как gaspar, но после того как несколько больших трасс были прилично перелопачены, то решил сменить подход и пока не пожалел об этом.
|
| |
|
|
| gaspar | Дата: Понедельник, 06.10.2025, 21:59 | Сообщение # 6 |
супер ГИП
Группа: Советник
Сообщений: 3674
Репутация: 293
Город: На Оке Замечания: 0%
Статус: Оффлайн
| Цитата Buba_B (  ) 1ПК0, 1УП1, 2ПК0, 2УП1 А ПК10, УП11, ПК20, УП21 - сложны для понимания? Цитата Buba_B (  ) всегда так делали Вот это в коллегах и бесит, думать не умеют и не хотят.Цитата Buba_B (  ) При необходимости удлинения основной ветки можно будет продолжить старый пикетаж и быстро сориентироваться на каком пикете находится ответвление к потребителю, например если не было времени обозначить на профиле пикетаж основной ветки. Когда то делал как gaspar, но после того как несколько больших трасс были прилично перелопачены, то решил сменить подход и пока не пожалел об этом. Вообще не вижу проблемы. Ну может 1 из 99 трасс претерпит изменение (удлинение). Редко но бывало, когда конечная точка была например ПК54+97,80 и ответвления шли с ПК55, ПК56 ...ПК115, но удлинилась. Ну поставил в месте целого пикетажа ПК54+100 / ПК116 и пошёл нумеровать дальше: ПК117, ПК118. Мне , как не только проектировщику, но и строителю (а за мной оформителям исполнительной) - гораздо проще ориентироваться в порядковой простой нумерацией. Без всяких там точек в виде 1ПК.0.1 или цифровых приставок типа 1УП1. С цельными числами проще и понятнее, думайте коллеги, что не для себя делаете проекты. Да хоть пусть будет ПК578 и УП422, но у каждого пикета и угла поворота - свой цельный номер. А когда начинают баловаться префиксами типа 1ПК0, 2ПК0, 3ПК0...17ПК0 и т.п.- то это ведёт часто к путанице в огромном пакете сдаточной документации с актами скрытых работ . Написать 24УП9 / 24ПК1 или УП 249 и ПК241? Второе понятнее Хотя соглашусь префиксы лучше, чем звёздочки, точки, верхние индексы и т.п. Но я за цельный порядковый пикетаж, чисел хватит всегда.
|
| |
|
|
| Dobriy | Дата: Четверг, 09.10.2025, 12:42 | Сообщение # 7 |
|
Бывалый проектировщик
Группа: Чертежник
Сообщений: 111
Репутация: 2
Город: Краснодар Замечания: 0%
Статус: Оффлайн
| Тоже делаю вариант с 1ПК, 2ПК ... а на поворотах не ставлю префиксы, у каждого ответвления повороты с УП1, УП2. И все понятно - и так легче искать нужную трассу, т.к. у каждой есть свой номер. Например, нужен тебе поворот 3 на 17 трассе - ищешь себе трассу 17ПК на ней и находишь нужный поворот. Да и ведомости поворотов, покрытий и пр. разбиты по номерам трасс. Ну и длину трассы всей удобно считать - каждая трасса с ...ПК0 начинается - не собьешься. И кстати сдаются проекты разным организациям и в разных регионах- не помню, чтобы кому то это не нравилось
|
| |
|
|
| seremba | Дата: Вторник, 21.10.2025, 17:26 | Сообщение # 8 |
|
Проектировщик
Группа: Пользователи
Сообщений: 76
Репутация: 2
Город: Санкт-Петербург Замечания: 0%
Статус: Оффлайн
| Добрый день. Видел такое "кривое" обозначение пикетажа с этими штришочками, черточками))) Эти штришочки, черточки, кавычечки потом не найдешь на плане. Соответственно, строители, ПТО тем более вероятнее всего сделаю ошибку. Я использую обозначения как: ПК0, УП1...., ответвления - 1ПК0, 2ПК0 и т.п.
|
| |
|
|
| Yakovlev | Дата: Понедельник, 27.10.2025, 20:47 | Сообщение # 9 |
Начинающий проектировщик
Группа: Чертежник
Сообщений: 26
Репутация: 0
Город: Кустанай Замечания: 0%
Статус: Оффлайн
| Цитата А ПК10, УП11, ПК20, УП21 - сложны для понимания? Не знаю, как у Вас, у меня ПК10 это 1000 м. А 10ПК0 - это нулевой пикет на 10-ом ответвлении.
Со штрихами пикетаж встречал, довольно часто, мне тоже он не очень понравился, а если там 50 отводов к домам, 50 штрихов ставить? И потом сиди, считай эти "зарубки"
Но, в целом, запрета на такое художество нет
|
| |
|
|
| Taurus86 | Дата: Вторник, 28.10.2025, 06:46 | Сообщение # 10 |
Проектировщик
Группа: Чертежник
Сообщений: 63
Репутация: 0
Город: СФО Замечания: 0%
Статус: Оффлайн
| Всем доброго дня! Делаю аналогично, как писали выше: 1ПК0, 2ПК0, 3ПК0 и т.д. и т.п. Только углы поворота обозначаю согласно ответвлению: УП1.1, УП1.2...; УП3.1, УП3.2..., чтобы не путать с другими УП. Сразу понятно, что УП3.15 - это угол поворота №15 3-го ответвления. Когда у тебя 15 ответвлений, то удобно выглядит: все ответвления с 1ПК0 до 15ПК0 подписаны, углы поворота на каждом ответвлении, согласно нумерации ответвления. Хотя кому как удобнее, тот так и делает. Штрихами и цифрами в индексах с самого начала не нумеровал, т.к. все мелко и неудобно
|
| |
|
|
| gaspar | Дата: Вторник, 28.10.2025, 09:15 | Сообщение # 11 |
супер ГИП
Группа: Советник
Сообщений: 3674
Репутация: 293
Город: На Оке Замечания: 0%
Статус: Оффлайн
| Цитата Taurus86 (  ) Всем доброго дня! Делаю аналогично, как писали выше: 1ПК0, 2ПК0, 3ПК0 и т.д. и т.п. Только углы поворота обозначаю согласно ответвлению: УП1.1, УП1.2...; УП3.1, УП3.2..., чтобы не путать с другими УП. Сразу понятно, что УП3.15 - это угол поворота №15 3-го ответвления. Когда у тебя 15 ответвлений, то удобно выглядит: все ответвления с 1ПК0 до 15ПК0 подписаны, углы поворота на каждом ответвлении, согласно нумерации ответвления. Хотя кому как удобнее, тот так и делает. Штрихами и цифрами в индексах с самого начала не нумеровал, т.к. все мелко и неудобно Соглашусь что, такой порядок пикетирования трассы более понятен чем штрихи, звездочки , индексы, для обнаружения которых на плане нужно "вырвать глаз" И наверное удобен, чтобы нумеровать ответвления. Но как по мне, с точки зрения оформления исполнительной документации, меньше путаницы когда каждое ответвление начинается со следующего свободного пикетажа. 1ПК0 или 3ПК0 условно тоже самое что начать со следующего цельного ПК15 или ПК47 и. т.п . Но возможно это вопрос привычки.
|
| |
|
|
| projectgts | Дата: Понедельник, 22.12.2025, 08:17 | Сообщение # 12 |
Начинающий проектировщик
Группа: Пользователи
Сообщений: 20
Репутация: 0
Город: Самара Замечания: 0%
Статус: Оффлайн
| Добрый день! Какие нормативные расстояния от подземных резервуаров СУГ до зданий (гаражей), лесов и тд за границами земельного участка? За участком на данный момент стоят гаражи
|
| |
|
|
| lilshaker | Дата: Суббота, 10.01.2026, 19:33 | Сообщение # 13 |
Начинающий проектировщик
Группа: Пользователи
Сообщений: 35
Репутация: 0
Город: Атташе Замечания: 0%
Статус: Оффлайн
| Цитата projectgts (  ) Добрый день! Какие нормативные расстояния от подземных резервуаров СУГ до зданий (гаражей), лесов и тд за границами земельного участка? За участком на данный момент стоят гаражи Какой объем резервуаров СУГ?
|
| |
|
|